20년의 시간 끝에 되찾은 생명의 물길
복원 전 단 4종에서 32종으로
도심 속 하천, 생태가 회복되다
복원 전 단 4종에서 32종으로
도심 속 하천, 생태가 회복되다
[이데일리 김현아 기자] 청계천 복원이 시작된 지 20년. 과거 콘크리트 아래 갇혀 있던 물길은 이제 다시 흐르며 수많은 생명체를 품고 있다.
과학기술정보통신부 산하 국립중앙과학관은 서울시설공단과 함께 진행한 2025년 담수어류 학술조사 결과, 총 32종 1품종 약 6700여 개체의 어류가 확인됐다고 밝혔다.
이는 복원 전 단 네 종의 어류만이 생존하던 청계천이 20년 만에 생태적 다양성을 8배 이상 회복한 것을 보여주는 상징적인 결과다.
과학기술정보통신부 산하 국립중앙과학관은 서울시설공단과 함께 진행한 2025년 담수어류 학술조사 결과, 총 32종 1품종 약 6700여 개체의 어류가 확인됐다고 밝혔다.
이는 복원 전 단 네 종의 어류만이 생존하던 청계천이 20년 만에 생태적 다양성을 8배 이상 회복한 것을 보여주는 상징적인 결과다.
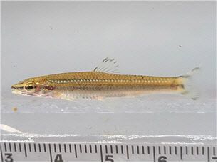
특히 주목할 점은 깨끗하고 산소가 풍부한 여울 환경에서만 살 수 있는 한국 고유종 ‘쉬리’의 치어가 상류 구간에서 처음으로 발견되었다는 사실이다.
쉬리는 쉽게 발견되기 어려운 민감한 종으로, 이들의 서식은 청계천 일부 구간이 진정한 의미에서 ‘생명이 머무를 수 있는 하천’으로 회복되었음을 나타낸다.
쉬리 치어(한국고유종) |
쉬리(한국고유종) |
조사는 상류인 모전교 인근부터 하류인 중랑천 합류부까지 총 6개 지점을 대상으로 4월부터 9월까지 세 차례에 걸쳐 진행되었다. 조사 지점은 20년 전 수행된 동일한 위치를 기준으로 구성되어, 청계천의 생태계가 시간의 흐름 속에서 어떻게 변화했는지 체계적으로 비교할 수 있도록 설계되었다.
연구진은 이번 조사에서 총 7개 목, 9개 과에 속하는 32종 1품종이 관찰되었으며, 전체 개체 수는 약 6700여 마리에 달했다고 전했다.
관찰된 어종 중 가장 많이 발견된 종은 피라미였으며, 참붕어와 대륙송사리가 그 뒤를 이었다. 또한 각시붕어, 줄납자루, 쉬리, 몰개, 참갈겨니, 얼룩동사리 등 여섯 종은 한국 고유종으로 확인되었으며, 이스라엘잉어와 구피, 배스 등 외래종도 일부 확인되었다.
이 중 구피와 배스는 인위적으로 방류된 흔적으로 추정되며, 현장에서 포획된 모든 어류는 확인 후 조심스럽게 원래의 장소로 돌려보내졌다.
피라미(우점종) |
참붕어(아우점종) |
상류 지역은 유속이 빠르고 산소가 풍부하여 쉬리, 버들치, 참갈겨니와 같이 청정 환경을 선호하는 종들이 주로 관찰되었다. 중류 구간으로 내려오면 참붕어, 줄몰개, 모래무지처럼 돌과 모래가 어우러진 다양한 하상 구조에 적응한 종들이 서식하였다. 하류로 이동하면 물 흐름이 완만해지고 수질에 대한 적응력이 높은 대륙송사리와 납지리, 참붕어 등이 우세하게 발견되면서 하천의 다양한 표정이 생태 구성으로 자연스럽게 드러났다.
떡납줄갱이(청계천 첫 출현종) |
구피(외래종) |
국립중앙과학관은 이러한 조사 성과를 시민들과 나누기 위해 서울시설공단과 함께 ‘청계어록’ 특별전을 마련했다. 이 전시는 청계천 복원 20년의 여정을 생명과 데이터, 기록과 감성으로 풀어내는 전시로 구성되었다.
전시장에서는 청계천의 생태 복원 과정을 AI 기술로 구현한 시각 영상 콘텐츠를 통해 시간의 흐름을 감각적으로 체험할 수 있으며, 한국 민물고기를 섬세하게 묘사한 세밀화 작품들은 생명의 형태를 예술적으로 보여준다.
또한 실제 탐사대의 조사 과정이 기록된 자료와 시민 참여형 민물고기 탐사 프로그램이 운영되어 어린이와 청소년, 가족 단위 관람객들이 청계천의 생명을 직접 이해하고 체험할 수 있도록 구성되었다.
국립중앙과학관 권석민 관장은 “이번 학술조사를 통해 인간의 무관심 속에서 훼손된 생태계라도 꾸준한 복원 노력과 협력을 바탕으로 다시 살아날 수 있다는 가능성을 확인했다”며 “청계천의 사례가 시민들의 과학적 호기심과 환경 감수성을 높이는 계기가 되길 바란다”고 말했다. 이어 “기관 간 협업을 바탕으로 더 많은 이들이 자연을 이해하고 탐구하는 즐거움을 느낄 수 있도록 지속적으로 지원할 것”이라고 덧붙였다.
